
|
Cañon Del Norte/Cochiti Mesa/Bland Canyon
|
|
Bland Canyon Road in the center, Spring to the left. You can see some of the canyon topography on the right, |
|
Not a great picture due to the shadow but it does show the Aspen, Oak, Doug and White Fir and Spruce trees on many areas of the property, look at pic to your left. |
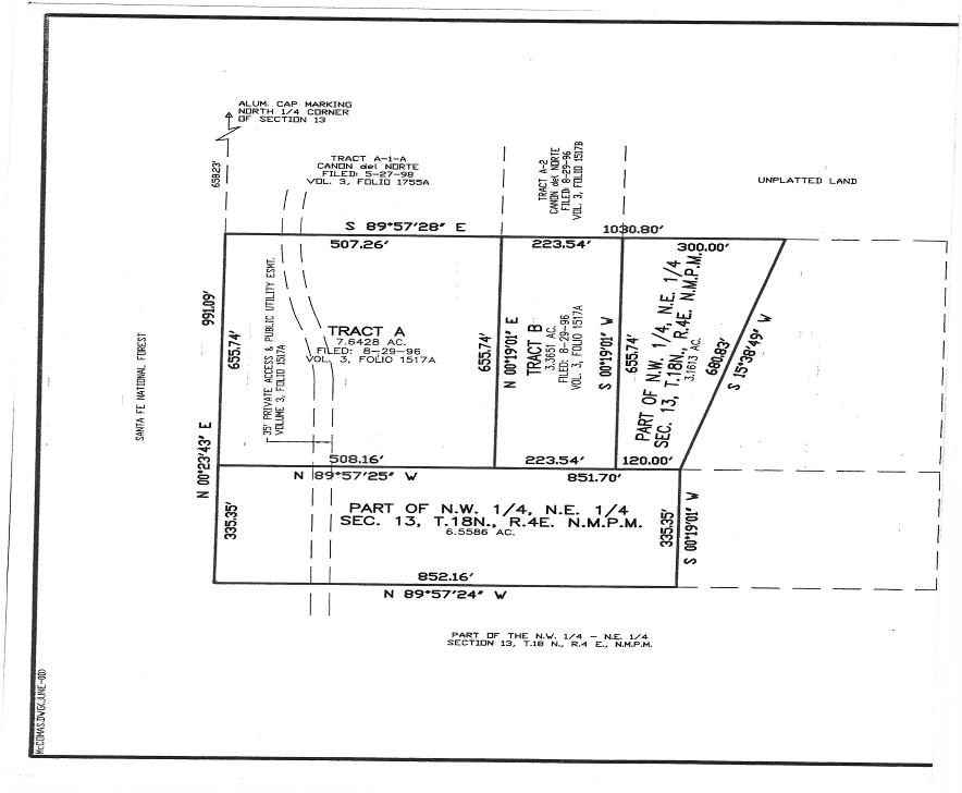
|
A look at the plat, North is always up. To the left and West you can see the Bland Canyon Road. The upper build spot is around the middle of Tract B. If you want to see it by yourself, email me and I will send you the legal description. |